How To Read Base Velocity Radar

Level ii and level iii nexrad data include three meteorological base data quantities.
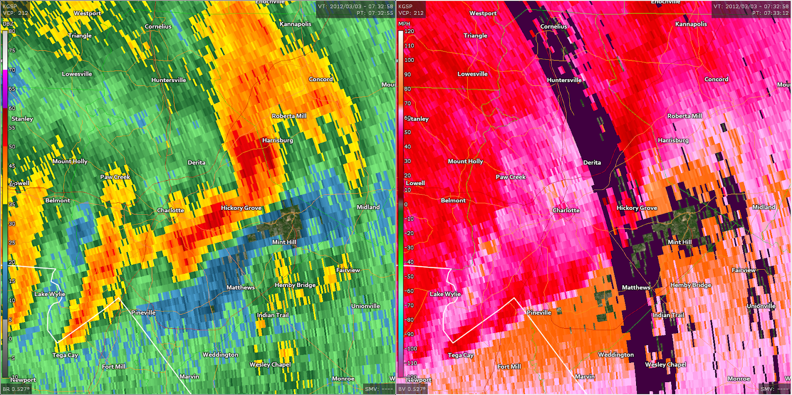
How to read base velocity radar. The radar location is at the center of the display. The standard elevation angle is 0 5 above the horizontal which is referred to as a base angle. The base velocity function of the radar does not show precipitation intensity but instead speed and direction. The radar is located to the southeast or to the bottom right of the computer screen.
This is a great example of what a tornado looks like in the velocity display. Velocity imagery is almost always displayed with red and green colors. Even when you look at a velocity product on a non storm day you will see the reds and greens. Reflectivity mean radial velocity and spectrum width as well as 40 products generated using computer algorithms.
This elevation gives the name base x to many radar products where x is one of many products such as reflectivity or velocity. Precipitation moving perpendicular to the radar beam in a circle around the radar will have a radial velocity of zero and will be colored grey. In the image above you can see the velocity data that is associated with a strong storm depicted in the reflectivity data. When the radar points toward the west 270o the doppler velocity value is 36 m s 1 negative values representing flow toward the radar.
Doppler velocity patterns right correspond to vertical wind profiles left where the wind barbs indicate wind speed and direction from the ground up to 24 000 feet. The velocity is given in knots 10 knots 11 5. Red shows winds blowing away from the radar and green shows winds blowing toward it. Stronger winds usually equate to.
Direction a doppler velocity value of 36 m s 1 positive values representing flow away from the radar occurs when the radar points toward the east 90o. Described later a radar may scan horizontally 360 at anywhere from four to fourteen different vertical angles. Velocity is often symbolized in reds indicating winds moving away from the radar site think red shift and greens indicating winds moving toward the radar site. So first things first base velocity shows wind speed blowing towards or away from a radar.